Advertisement
২৯ জানুয়ারি ২০২৬
Cyclone Amphan

ফণীর মতোই বিপুল বেগে রাজ্যের ছয় জেলা লন্ডভন্ড করতে পারে আমপান

অতি প্রবল ঘূর্ণিঝড়ে পরিণত হয়েছে ‘আমপান’। সোমবার বিকেলেই এটি ‘সুপার সাইক্লোনিক স্টর্ম’-এ পরিণত হল। এই ঘূ্র্ণিঝড়ের ঘূর্ণনের সর্বোচ্চ গতিবেগ হতে পারে ১৮০ কিলোমিটার প্রতি ঘণ্টা।

শেষ আপডেট: ১৮ মে ২০২০ ১৫:৫৪
Share: Save:
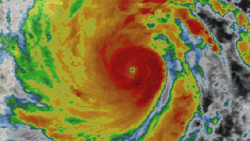
০১ ১৫
অতি প্রবল ঘূর্ণিঝড়ে পরিণত হয়েছে ‘আমপান’। সোমবার বিকেলেই এটি ‘সুপার সাইক্লোনিক স্টর্ম’-এ পরিণত হল। এই ঘূ্র্ণিঝড়ের ঘূর্ণনের সর্বোচ্চ গতিবেগ হতে পারে ১৮০ কিলোমিটার প্রতি ঘণ্টা।

অতি প্রবল ঘূর্ণিঝড়ে পরিণত হয়েছে ‘আমপান’। সোমবার বিকেলেই এটি ‘সুপার সাইক্লোনিক স্টর্ম’-এ পরিণত হল। এই ঘূ্র্ণিঝড়ের ঘূর্ণনের সর্বোচ্চ গতিবেগ হতে পারে ১৮০ কিলোমিটার প্রতি ঘণ্টা।

০২ ১৫
আলিপুর আবহাওয়া দফতর সূত্রে খবর, পশ্চিম-মধ্য বঙ্গোপসাগরের উপরে অবস্থান করছে আমপান। এর অভিমুখ রয়েছে উত্তর দিকে। কয়েক ঘণ্টার মধ্যেই বাঁক নিয়ে তা উত্তর-পূর্ব দিকে এগোতে শুরু করবে।

আলিপুর আবহাওয়া দফতর সূত্রে খবর, পশ্চিম-মধ্য বঙ্গোপসাগরের উপরে অবস্থান করছে আমপান। এর অভিমুখ রয়েছে উত্তর দিকে। কয়েক ঘণ্টার মধ্যেই বাঁক নিয়ে তা উত্তর-পূর্ব দিকে এগোতে শুরু করবে।

০৩ ১৫
আমপান-এর নামকরণ করেছে তাইল্যান্ড।

আমপান-এর নামকরণ করেছে তাইল্যান্ড।

০৪ ১৫
সোমবার সকাল পর্যন্ত দিঘা থেকে ৯৩০ কিলোমিটার এবং বাংলাদেশের খেপুপাড়া থাকে ১০৫০ কিলোমিটার দূরে রয়েছে আমপান।

সোমবার সকাল পর্যন্ত দিঘা থেকে ৯৩০ কিলোমিটার এবং বাংলাদেশের খেপুপাড়া থাকে ১০৫০ কিলোমিটার দূরে রয়েছে আমপান।

০৫ ১৫
বুধবার দুপুরে পশ্চিমবঙ্গের দিঘা এবং বাংলাদেশের হাতিয়ার মাঝখান দিয়ে স্থলভূমিতে ঢুকতে পারে আমপান।

বুধবার দুপুরে পশ্চিমবঙ্গের দিঘা এবং বাংলাদেশের হাতিয়ার মাঝখান দিয়ে স্থলভূমিতে ঢুকতে পারে আমপান।

০৬ ১৫
স্থলভূমিতে আছড়ে এর গতিবেগ হতে পারে ঘণ্টায় ১৫৫-১৬৫ কিলোমিটার। ঘূর্ণনের গতি ১৮৫ কিলোমিটারও হতে পারে।

স্থলভূমিতে আছড়ে এর গতিবেগ হতে পারে ঘণ্টায় ১৫৫-১৬৫ কিলোমিটার। ঘূর্ণনের গতি ১৮৫ কিলোমিটারও হতে পারে।

০৭ ১৫
আমপানের ঝাপটায় সব থেকে বেশি ক্ষতক্ষতির আশঙ্কা রয়েছে, দিঘা, মন্দারমনি, সুন্দরবনের সমুদ্র সৈকত এবং উপকূলবর্তী এলাকায়। প্রতীকী ছবি।

আমপানের ঝাপটায় সব থেকে বেশি ক্ষতক্ষতির আশঙ্কা রয়েছে, দিঘা, মন্দারমনি, সুন্দরবনের সমুদ্র সৈকত এবং উপকূলবর্তী এলাকায়। প্রতীকী ছবি।

০৮ ১৫
আবহবিজ্ঞানীরা জানিয়েছেন, সমুদ্রে জলতলের উষ্ণতা ২৬.৫ ডিগ্রি সেলসিয়াসের বেশি হলেই তা ঘূর্ণিঝড় তৈরিতে সাহায্য করে। বঙ্গোপসাগরের জলের উষ্ণতা তার থেকে বেশ কিছুটা বেশি হওয়ায় আমপানের শক্তি দ্রুত বেড়েছে।

আবহবিজ্ঞানীরা জানিয়েছেন, সমুদ্রে জলতলের উষ্ণতা ২৬.৫ ডিগ্রি সেলসিয়াসের বেশি হলেই তা ঘূর্ণিঝড় তৈরিতে সাহায্য করে। বঙ্গোপসাগরের জলের উষ্ণতা তার থেকে বেশ কিছুটা বেশি হওয়ায় আমপানের শক্তি দ্রুত বেড়েছে।

০৯ ১৫
আবহাওয়া দফতর জানিয়েছে, উপকূলে ঝোড়ো হাওয়া-সহ বৃষ্টি শুরু হতে পারে মঙ্গলবারেই। বুধবার গাঙ্গেয় বঙ্গের প্রায় সর্বত্র বৃষ্টি হবে। কোনও কোনও এলাকায় ভারী বৃষ্টি, কোথাও কোথাও অতি ভারী বৃষ্টি হতে পারে। তাই মৎস্যজীবীদের সাগরে যেতে নিষেধ করা হয়েছে। ছবি: পিটিআই।

আবহাওয়া দফতর জানিয়েছে, উপকূলে ঝোড়ো হাওয়া-সহ বৃষ্টি শুরু হতে পারে মঙ্গলবারেই। বুধবার গাঙ্গেয় বঙ্গের প্রায় সর্বত্র বৃষ্টি হবে। কোনও কোনও এলাকায় ভারী বৃষ্টি, কোথাও কোথাও অতি ভারী বৃষ্টি হতে পারে। তাই মৎস্যজীবীদের সাগরে যেতে নিষেধ করা হয়েছে। ছবি: পিটিআই।

১০ ১৫
আমপানের প্রভাবে ৬ জেলায়— কলকাতা, পূর্ব মেদিনীপুর, দুই ২৪ পরগনা, হুগলি, নদিয়াতে প্রবল বৃষ্টিপাতের আশঙ্কা রয়েছে মঙ্গল এবং বুধবার। কলকাতাতেও ঝড়ের ঝাপটা পড়তে পারে।

আমপানের প্রভাবে ৬ জেলায়— কলকাতা, পূর্ব মেদিনীপুর, দুই ২৪ পরগনা, হুগলি, নদিয়াতে প্রবল বৃষ্টিপাতের আশঙ্কা রয়েছে মঙ্গল এবং বুধবার। কলকাতাতেও ঝড়ের ঝাপটা পড়তে পারে।

১১ ১৫
মৌসম ভবনের ডিরেক্টর জেনারেল জানিয়েছেন, ওড়িশার উত্তর ভাগে সবচেয়ে বেশি প্রভাব পড়বে আমপান-এর। জগৎসিংহপুর, কেন্দ্রাপাড়া, ভদ্রক এবং বালেশ্বরের মতো উপকূলীয় জেলাগুলিকে সতর্ক করা হয়েছে।

মৌসম ভবনের ডিরেক্টর জেনারেল জানিয়েছেন, ওড়িশার উত্তর ভাগে সবচেয়ে বেশি প্রভাব পড়বে আমপান-এর। জগৎসিংহপুর, কেন্দ্রাপাড়া, ভদ্রক এবং বালেশ্বরের মতো উপকূলীয় জেলাগুলিকে সতর্ক করা হয়েছে।

১২ ১৫
আমপান-এর প্রভাবে পশ্চিমবঙ্গ, ওড়িশা, অসম, সিকিম এবং মেঘালয়ে আগামী ২১ মে পর্যন্ত ভারী বৃষ্টির সতর্কতা জারি করেছে মৌসম ভবন।

আমপান-এর প্রভাবে পশ্চিমবঙ্গ, ওড়িশা, অসম, সিকিম এবং মেঘালয়ে আগামী ২১ মে পর্যন্ত ভারী বৃষ্টির সতর্কতা জারি করেছে মৌসম ভবন।

১৩ ১৫
জাতীয় বিপর্যয় মোকাবিলা বাহিনীর ১৭টি দলকে পশ্চিমবঙ্গ এবং ওড়িশায় মোতায়েন করা হয়েছে। তার মধ্যে ৭টি দল থাকবে বাংলার ৬টি জেলায়, ১০টি দল থাকবে ওড়িশায়।

জাতীয় বিপর্যয় মোকাবিলা বাহিনীর ১৭টি দলকে পশ্চিমবঙ্গ এবং ওড়িশায় মোতায়েন করা হয়েছে। তার মধ্যে ৭টি দল থাকবে বাংলার ৬টি জেলায়, ১০টি দল থাকবে ওড়িশায়।

১৪ ১৫
২০১৯-এর মে মাসে অতি প্রবল ঘূর্ণিঝড় ফণীর দাপটে লন্ডভন্ড হয়েছিল ওড়িশা। ঘণ্টায় ১৮৫ কিলোমিটার বেগে আছড়ে পড়েছিল ওই রাজ্যের উপকূল এলাকায়।

২০১৯-এর মে মাসে অতি প্রবল ঘূর্ণিঝড় ফণীর দাপটে লন্ডভন্ড হয়েছিল ওড়িশা। ঘণ্টায় ১৮৫ কিলোমিটার বেগে আছড়ে পড়েছিল ওই রাজ্যের উপকূল এলাকায়।

১৫ ১৫
২০১৯-এর ডিসেম্বরে প্রবল ঘূর্ণিঝড় বুলবুলের ধাক্কায় ক্ষতিগ্রস্ত হয়েছিল পশ্চিমবঙ্গের উপকূলীয় জেলাগুলি। বুলবুল আছড়ে পড়ে ঘণ্টায় ১১০ কিলোমিটার গতিবেগে। অর্থাৎ আমপানের গতি হতে পারে বুলবুলের দেড় গুণ।

২০১৯-এর ডিসেম্বরে প্রবল ঘূর্ণিঝড় বুলবুলের ধাক্কায় ক্ষতিগ্রস্ত হয়েছিল পশ্চিমবঙ্গের উপকূলীয় জেলাগুলি। বুলবুল আছড়ে পড়ে ঘণ্টায় ১১০ কিলোমিটার গতিবেগে। অর্থাৎ আমপানের গতি হতে পারে বুলবুলের দেড় গুণ।

(সবচেয়ে আগে সব খবর, ঠিক খবর, প্রতি মুহূর্তে। ফলো করুন আমাদের Google News, X (Twitter), Facebook, Youtube, Threads এবং Instagram পেজ)
Follow us on: Save:
Advertisement

Share this article

CLOSE

Log In / Create Account

We will send you a One Time Password on this mobile number or email id

Or

By proceeding you agree with our Terms of service & Privacy Policy